
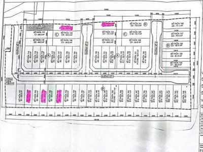
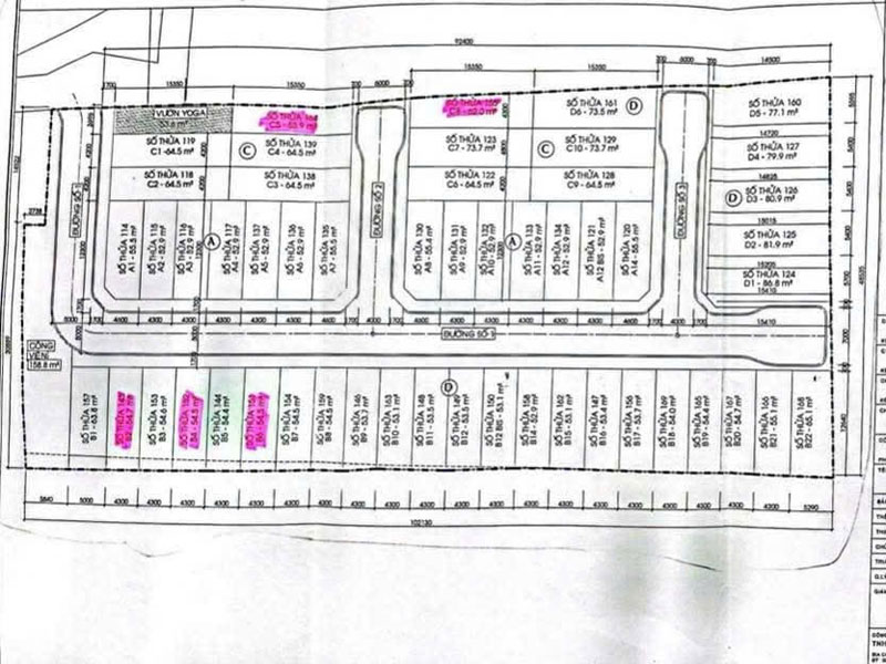
Cần bán 42 nền - Nhà phố, Phường 04, TP. Tân An
Địa chỉ: Phường 04, Thành phố Tân An, Thị xã Tân An, Long An
DT: 0 m2
Giá: 68 tỷ
- Mô tả chi tiết
- Liên hệ
- Thư viện ảnh
- Thông tin thêm
Bán 42 nền - Nhà phố, Phường 04, TP Tân An
Đã xây dựng 7 căn
14 lô đã có cọc móng
Còn lại 21 lô đất
Giá chốt bán: 68 tỷ
Liên Hệ: 0903092482 - Văn Nguyễn







